[ 제주 왔어호 조황정보 ]

조황정보HOME / 조황정보 / 제주 왔어호 조황 상세정보

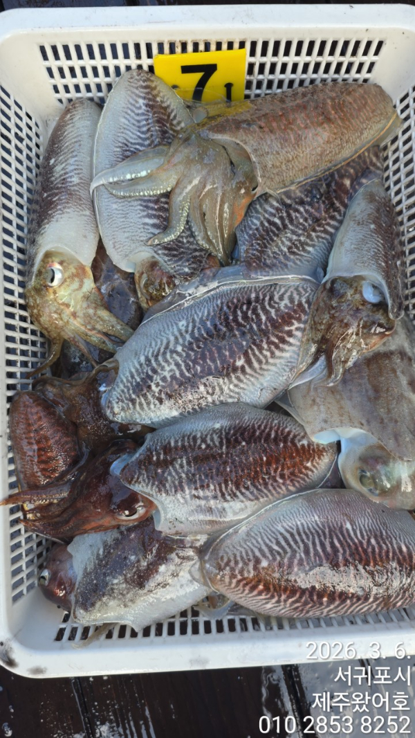
제주왔어호((9.77톤)) 3월 6일 갑오징어 조황 선박명 : 제주 왔어호 등록일 : 2026-03-07
**제주 왔어호 갑오징어 조황**
3월 6일 10물 서귀포권 주간갑오징어
조황입니다.

**출항 2일전 출항 공지드립니다.**
((기상과 갑이량에 따라 출항지변경 될수 있습니다.))
숙소는 출조 2일전에
선장 출항지 문자 후 잡아주세요.
하루종일 바람 방향이 돌고 돌고
마지막 2시간만 서풍
하루 온종일 힘든 하루였습니다.
오늘도 유튜버 수봉언니 같이하셔서 에기선물을 나늠해주셨네요.
감사감사합니다.
아시죠 구독ㆍ좋아요 부탁드립니다.
오늘도 선장 믿고 열심히 잡아주신
울 조사님들 감사감사합니다.
수온15도
왔어호 예약현황 입니다.
찐한 손맛보실분들 예약주세요.
3월 8일 ㅡ 마감
9일 ㅡ. 마감
10일 ㅡ 6자리여유
11일 ㅡ. 5자리여유
12일 ㅡ. 7자리여유
13일 ㅡ 3자리여유
14일 ㅡ 마감
15일 ㅡ 마감
16일 ㅡ 1자리여유
17일 ㅡ 1자리여유
이후 여유자리 많으니 예약주세요 ^^
봉돌은 납 40호, 텅스텐 35호 통일.
낚시대 한대만 사용가능하구요.
에기도 하나만 달수 있습니다.
꼬~~~옥 지켜주세요...
라인은 합사 0.8호 추천드립니다.
아래 사진에 기본으로 준비해야되는 에기사진 있으니 참고해주세요.
왔어호와 함께 찐~~한 갑오징어
손맛 보실 조사님들 아래 예약사이트로
마니마니 예약주세요.
출 항 일 : 기상만 허락한다면 1분이라도
출 항 지 : 서귀포항
출항시간 : 06시 30분(항에 06시20분까지)
입항시간 : 17시 30분(저녁9시 이후 뱅기)
1인 선비 : 12만원

**픽업 안됩니다(가는픽업가능)**
*렌트카는 "빌리카ㆍOKㆍ무지개" 추천
((다른곳은 낚시인에게 렌트 안되는 곳 많아요.))
5월 말까지 주간 갑오징어 출항합니다.
많은 이용 부탁드립니다.

**배 전원사용가능**
((배터리 챙겨오시는거 추천))

***자리배정은 승선 후 추첨***
0.80세 이상 어르신 우선권.
1.유튜버(4만이상)
2.연박자 우선 추첨(2일째부터 적용)
3.단체 우선 추첨(4인이상 한줄서기)
4.개인추첨
항에서 배를 봤을때 좌측선수에서 1~9번
우측선수에서 1~9번 입니다.
(1,2번빼고는 평지 입니다.)
갑이 손맛 보러 제주로....
이왕이면 왔어호로 와주세요 ^^
*1월~5월 갑오징어 출항 시간*
*아침 6시 30분 출항 ~오후 5시 30분 입항
((서귀포항 출항에는 가는 뱅기는 21시이후
한림항 출항에는 20시30분 권해드립니다))
*아침새참과 점심 제공해드립니다.
(컵라면과 물, 몇가지 음료 준비되어 있음)

*왔어호 예약바로가기

*왔어호 밴드바로가기/ 더 많은 사진

네이버검색 : 제주왔어호, 왔어호, 제주 왔어호

문의 전화
010 2853 8252 


00.jpg


제주왔어호_사진_20260307_1.jpg


제주왔어호_사진_20260307_2.jpg


제주왔어호_사진_20260307_3.jpg


제주왔어호_사진_20260307_4.jpg


제주왔어호_사진_20260307_5.jpg


제주왔어호_사진_20260307_6.jpg


제주왔어호_사진_20260307_7.jpg


제주왔어호_사진_20260307_8.jpg


제주왔어호_사진_20260307_9.jpg


제주왔어호_사진_20260307_15.jpg


제주왔어호_사진_20260307_16.jpg


제주왔어호_사진_20260307_17.jpg


제주왔어호_사진_20260307_18.jpg


제주왔어호_사진_20260307_19.jpg


제주왔어호_사진_20260307_20.jpg


제주왔어호_사진_20260307_21.jpg


제주왔어호_사진_20260307_22.jpg


제주왔어호_사진_20260307_23.jpg


제주왔어호_사진_20260307_29.jpg

왔어호 마지막 시메 후 뿔까지 잘라드립니다.
왜냐구요?
마지막 들어올때 까지
한마리라두 더 잡으시게
해드리고 싶어서요...

*기상악화시 숙소는 환급 안되는 곳 많음.*
((예약시 미리 낚시객이라 하시고 기상악화로 출항 못하면 환급되는지 확인하세요))

#제주왔어호 #갑오징어 #제주갑오징어 #제주선상갑오징어 #한치 #한치이카메탈 #제주한치 #제주선상한치 #제주야간팁런 #제주야간무늬팁런 #제주무늬팁런 #제주선상팁런 #제주선상무늬오징어 #제주팁런 #제주모슬포 #제주사계 #제주신창 #제주서귀포  


*** 제주 왔호***호 예약 안내 ***


예약문의 : 010-2853-8252
오시는길 : 시즌별 변동 예약 시 확인해주세요

홈페이지 : https://welcome.sunsang24.com/
어호 밴드 : https://band.us/band/85207657 (왔어호밴드가입시 휴대폰 인증으로 해주세요)
 


모바일.gif 


Top