| 제주왔어호((9.77톤)) 4월 28일 갑오징어 조황 | 선박명 : 제주 왔어호 | 등록일 : 2026-04-29 |
|---|---|---|
|
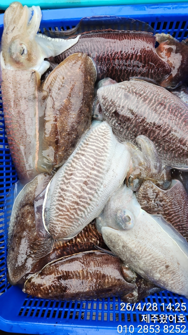
**제주 왔어호 갑오징어 조황** 4월 28일 4물 서귀포권 주간갑오징어 조황입니다. 제주왔어호 스타링크설치 했습니다.^^ ((비번은 선실문열면 정면에 있어요^^)) 와이파이 빵빵터져요~~~~ 바다에서 낚시 하시면서 업무가 안돼 힘드셨던분. 이제 걱정없습니다!!! 항공료도 많이 오르고 낚시오시는 비용이 부담 되시는데 좀더 넓게 낚시하시게 선비 인상 없이 과감하게 18석=>>12석으로. 협력선사들과 조정하였습니다 인원을 줄인만큼 상황에 따라 쌍포가능 합니다. 유가와 항공 티켓비용 안정될때까지만 진행할 예정입니다^^ 불편함이 없는 왔어호가 되겠습니다.^^ 모슬포항에서 출항 포인트까지 1시간 달려 서귀포권에서 낚시했습니다. 사이즈 좋은 갑이들 기본하고 왔습니다. 내일은 좀더 좋은 조과를 기대해봅니다. 수온 16.5도 오전엔 서풍 오후에 동풍 불었네요. 종일 앞으로만 진입...ㅠㅠ 뒤에분들 물바뀌기만 기돌렸는데... 그래두 열심히 하셔서 기본은 하셨네요^^ 오늘도 선장 믿고 열심히 잡아주신 울 조사님들 감사감사합니다. 봉돌은 납 40호, 텅스텐 35호 통일. 라인은 합사 0.8호 추천드립니다. **출항 여부는 출항2일전 알려드리겠습니다.** ((숙소는 출조 2일전에 출항 확정되면 잡아주세요.)) **예약현황** 30일 1자리여유 5월 1일 마감 2일.2자리여유 3일부터 여유자리 많이 있습니다. 왔어호와 함께 찐~~한 갑오징어 손맛 보실 조사님들 아래 예약사이트로 마니마니 예약주세요. 출 항 일 : 기상만 허락한다면 출 항 지 : 모슬포항 출항시간 : 06시 30분(항에 06시10분까지) 입항시간 : 17시 30분(저녁8시 30분 이후 뱅기) 1인 선비 : 12만원 **공항으로 돌아가는 픽업만 가능** *렌트카는 "빌리카ㆍOKㆍ무지개" 추천 ((다른곳은 낚시인에게 렌트 안되는 곳 많아요.)) 5월 말까지 주간 갑오징어 출항합니다. 많은 이용 부탁드립니다. **배 전원사용가** ((배터리 챙겨오시는거 추천)) ***자리배정은 승선 후 추첨*** 0.80세 이상 어르신 우선권. 1.연박자 우선 추첨(2일째부터 적용) 2.단체 우선 추첨(4인이상 한줄서기) 3.개인추첨 항에서 배를 봤을때 좌측선수에서 1~6번 우측선수에서 1~6번 입니다. (1,2번빼고는 평지 입니다.) *아침새참과 점심 제공해드립니다. (컵라면과 물, 몇가지 음료 준비되어 있음) 왔어호 마지막 시메 후 뿔까지 잘라드립니다. 왜냐구요? 마지막 들어올때 까지 한마리라두 더 잡으시게 해드리고 싶어서요... 모슬포항 숙박 안내 드림제주호텔 064-792-0251 모슬포호텔 010-3613-4723 위 두곳은 걸어서 갈수 있는 곳 입니다. 호텔케니 모슬포 064-909-9000 불란지호스텔 (인터넷 예약만) 써니호텔 064-792-7373 위 세곳은 차량으로 5분정도 이동하는 곳 입니다. *기상악화시 숙소는 환급 안되는 곳 많음.* ((예약시 미리 낚시객이라 하시고 기상악화로 출항 못하면 환급되는지 확인하세요)) 갑이 손맛 보러 제주로.... 이왕이면 왔어호로 와주세요 ^^ *왔어호 예약바로가기 *왔어호 밴드바로가기/ 더 많은 사진 네이버검색 : 제주왔어호, 왔어호, 제주 왔어호 ![]() ![]() ![]() ![]() ![]() ![]() ![]() ![]() ![]() ![]() ![]() ![]() ![]() ![]() ![]() ![]() ![]() ![]() ![]() ![]() #제주왔어호 #갑오징어 #제주갑오징어 #제주선상갑오징어 #한치 #한치이카메탈 #제주한치 #제주선상한치 #제주야간팁런 #제주야간무늬팁런 #제주무늬팁런 #제주선상팁런 #제주선상무늬오징어 #제주팁런 #제주모슬포 #제주사계 #제주신창 #제주서귀포 *** 제주 왔어호***호 예약 안내 *** 예약문의 : 010-2853-8252 홈페이지 : https://welcome.sunsang24.com/
|
||